Refonte du carrefour de la Croix aux Merles

Accueil > Réalisations > Refonte du carrefour de la Croix aux Merles

Espaces urbains • Saint Jouan des Guérets

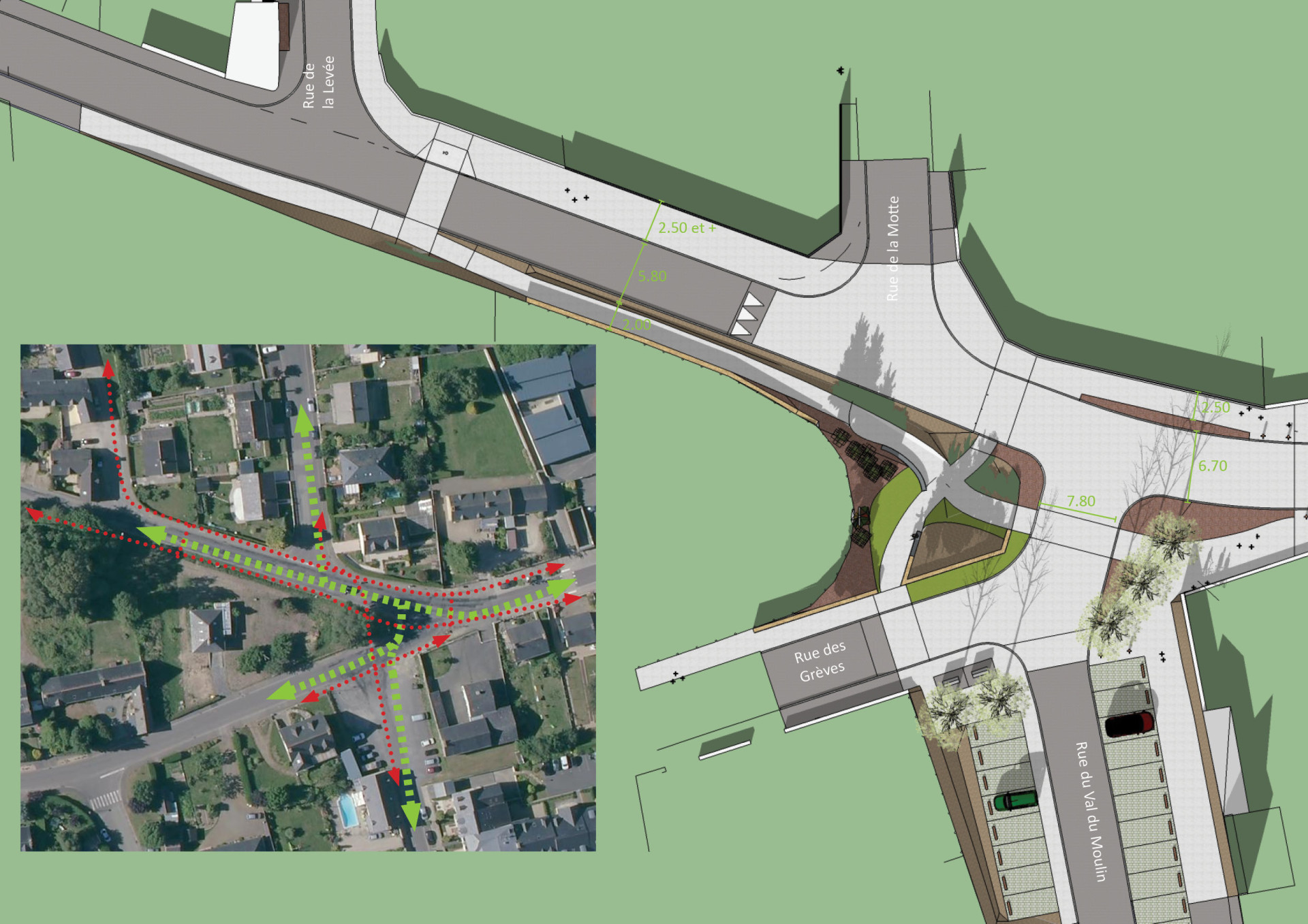
Après étude de 3 scénariis favorisant des circulations auparavant impossibles entre les différentes rues, le carrefour de la Croix aux Merles, dernière portion non aménagée dans le centre-bourg de Saint-Jouan-des Guérets, a été ré-aménagé selon une logique de transversalité.

Le calvaire a été repoussé vers le fond de rue. Les accès aux rues du Val du Moulin et des Grèves ont été modifiés, de manière à rendre la rue du Val du Moulin prioritaire. Un espace généreux piéton/vélo de circulation et de pause a été dégagé à l’Ouest du carrefour. Les cheminements piétons ont récréé, coté Est, la configuration pré-existante, en apportant confort et sécurité.

 

Maitrise d'ouvrage

Ville de Saint-Jouan-des-Guérets

Budget

472 000€ht

SUPERFICIE

2 600m2

Ville

Saint Jouan des Guérets (35)


Maitrise d'oeuvre

Mandataire : Inermis. Mission avec 2LM, bureau d'études VRD


Nos autres
réalisations

Utilisation des cookies

Nous utilisons les cookies pour l'analyse de statistiques de fréquentation et votre confort de navigation. Pour en savoir plus, consultez notre politique de confidentialité & RGPD.